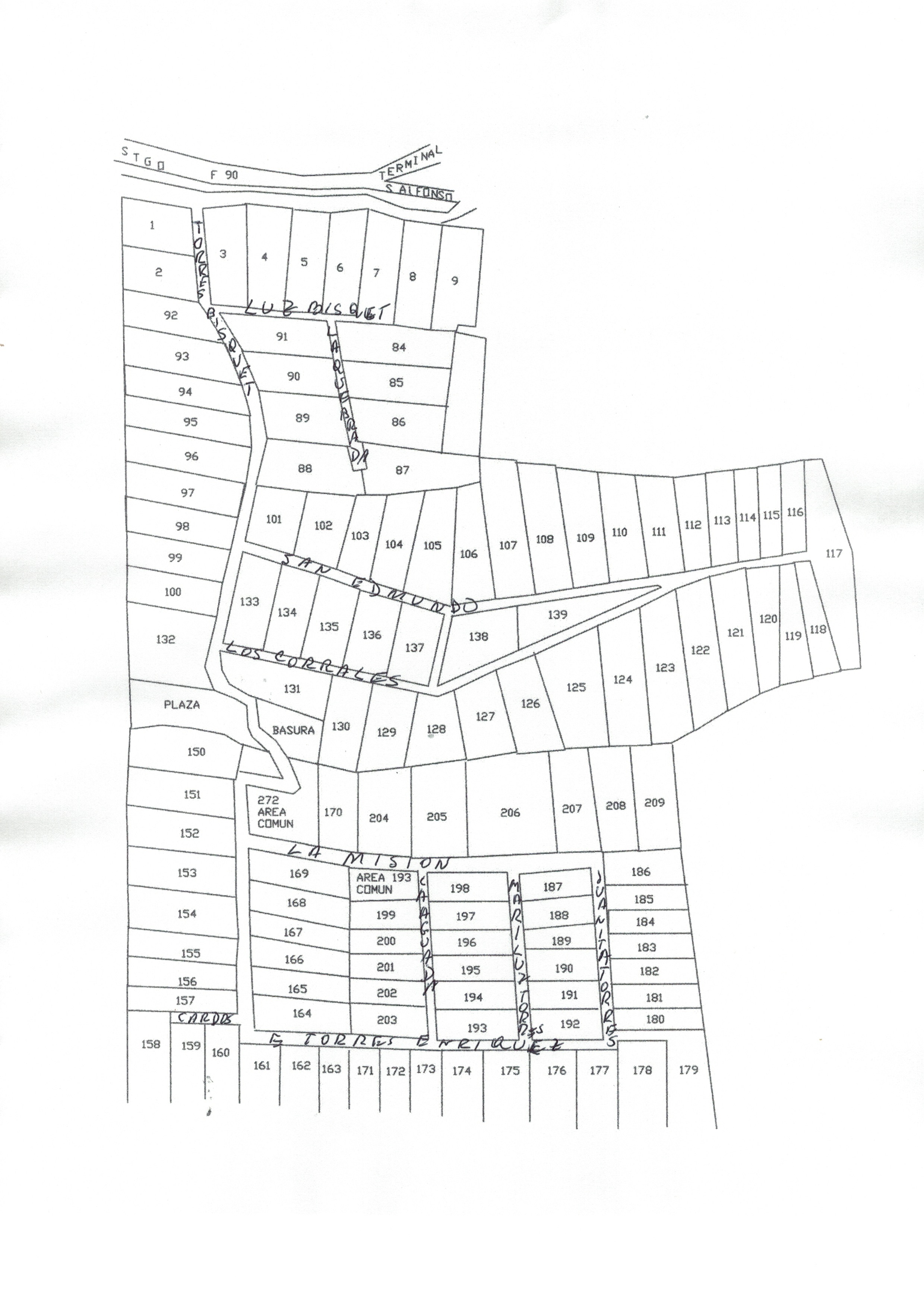
Junta de vecinos Alcazar de Torres

MAPA de la parcelacion